• Tram Münchner Norden
  • Tram Johanneskirchen
  • mvg.de
    • Sprache:Deutsch
    • Sprache:English
Zu https://www.mvg.de/ Zur Startseite
  • Projekt
  • Bau
  • Kontakt & FAQ
  • Mediathek & Presse
  • Startseite
  • Projekt
  • Bau
  • Kontakt & FAQ
  • Mediathek & Presse
  • Tram Münchner Norden
  • Tram Johanneskirchen
  • mvg.de
    • Sprache:Deutsch
    • Sprache:English
  1. Tram-Westtangente
  2. Das Projekt
  3. Tram-Westtangente

Das Projekt

Die Tram-Westtangente sorgt als eines der wichtigsten Nahverkehrsprojekte der Stadt für eine deutliche Verbesserung des Verkehrsangebots im Westen von München. Die neue Strecke beginnt am Romanplatz in Nymphenburg, verläuft über die Fürstenrieder Straße in Laim, durch Sendling-Westpark und Hadern bis zur Aidenbachstraße in Obersendling.

Inhalt
  1. Die Anker Links generien sich automatisch
  2. Es werden die H2 Überschriften genutzt
Aktueller Projektstatus

Die ursprünglich für Dezember 2025 geplante Inbetriebnahme des Abschnitts zwischen Agnes-Bernauer-Straße und Ammerseestraße verschiebt sich nach aktuellen Erkenntnissen auf den 27. Februar 2026. 
 

Bei der Inbetriebnahme des neuen Brückenbauwerks über die A96 zeichnet sich derzeit eine Verzögerung um mehrere Monate ab. Daher kann die Tramstrecke zum Ratzingerplatz trotz Beschleunigungsmaßnahmen, die mit der Autobahn GmbH erarbeitet wurden, erst im 2. Halbjahr 2028 in Betrieb gehen.

Die Gesamtinbetriebnahme der Tram-Westtangente wird weiterhin für Ende 2028 angestrebt.

Details und Hintergründe finden Sie in unserer aktuellen Pressemitteilung.

Die Vorteile auf einen Blick

Eine Wordcloud beschreibt in Form einer Avenio Tram die Vorteile der Tram-Westtangente

Die Tram-Westtangente ...

  • bringt Fahrgäste im Münchner Westen schneller, verlässlicher, pünktlicher und komfortabler an ihr Ziel.
  • bietet zahlreiche neue Direktverbindungen, macht Umwege über die Innenstadt überflüssig und entlastet damit auch die U-Bahn.
  • transportiert mehr Fahrgäste als Auto oder Bus und benötigt dabei weniger Platz.
  • ist zukunftssicher, da ihr Leistungsvermögen gesteigert werden kann.
  • reduziert das Verkehrswachstum und damit Staus, Staub, Abgase und Lärm.
  • vermeidet Konflikte zwischen den Verkehrsmitteln durch eine eigene Tram-Trasse.
  • wertet die Umgebung durch ihr Rasengleis, neue Blumenwiesenstreifen und attraktive Haltestellen auf.
  • bietet die Chance, Stadtteilzentren und Straßenräume zu beleben.

 

Mit einem Kosten-Nutzen-Indikator von 1,78 aus der aktuellen Standardisierten Bewertung durch die Intraplan Consult GmbH erreicht die Tram-Westtangente eines der besten Ergebnisse für Neubauprojekte der vergangenen 20 Jahre.

Download (JPG, 4,244 MB)

Entlang der Strecke der Tram-Westtangente sowie in benachbarten Vierteln entstehen neue Wohnungen und Arbeitsplätze. Die Menschen, die dort leben und arbeiten, benötigen ein zuverlässiges und attraktives Nahverkehrs-Angebot, das gemeinsam mit den Stadtvierteln wächst. 

Verkehrssimulationen zeigen, dass die Tram-Westtangente im Gegensatz zu Auto und Bus die steigende Zahl an Fahrgästen gut bewältigen wird. Ein Grund ist, dass ein Tramzug so viele Personen befördern kann wie zwei Gelenkbusse oder 145 Pkw und somit den Straßenraum effektiver nutzt. 

Erfahrungen aus der Vergangenheit, z.B. beim Bau der Tram nach St. Emmeram, belegen den "Schienenbonus". Fährt auf einer Strecke statt Bussen eine Straßenbahn, sind deutlich mehr Menschen bereit, vom Auto auf den öffentlichen Nahverkehr umzusteigen.

Darüber hinaus kann die Straßenbahn zukünftig noch mehr leisten, wenn der Takt verdichtet und/oder längere Trambahnen eingesetzt werden. Dem Einsatz von Autos und Bussen sind dagegen räumliche Grenzen gesetzt.

Stadtplan am Romanplatz mit Linienverbindung nach Schwabing
Hinweis zum Karten-Material: © Landeshauptstadt München – Kommunalreferat – GeodatenService 2022 Download (JPG, 0,126 MB)

Die von Obersendling kommenden Straßenbahnen der Tram-Westtangente sollen auf der Strecke der Linie 12 ab dem Romanplatz weiter bis nach Schwabing fahren.

Prognosen bestätigen, dass die Tram-Westtangente deutlich mehr Fahrgäste anziehen wird als heute zwischen Aidenbachstraße und Romanplatz mit den Bussen der MVG unterwegs sind. Gleiches gilt für die bestehende Tramlinie 12 zwischen Romanplatz und Schwabing durch die Verlängerung nach Laim und Obersendling.

Personen im Rollstuhl steigen über Hublift und Klapprampe in eine Tram.
Quelle: SWM Download (JPG, 0,031 MB)

Im Bestandsnetz der MVG müssen Mobilitätseingeschränkte noch viele Hürden überwinden. Insbesondere der große Höhenunterschied, der Spalt zwischen Bahnsteigkante und Fahrzeug und die nur für Rollstuhlfahrer*innen zur Verfügung stehenden Einstiegshilfen (Hublift und Klapprampe) bieten noch Verbesserungspotenzial.

Eine Person im Rollstuhl profitiert vom niveaugleichen Zustieg in eine Tram.
Quelle: SWM Download (JPG, 0,027 MB)

Wie bei allen Ausbauprojekten und Neubaustrecken werden auch bei der Tram-Westtangente alle Haltestellen barrierefrei ausgebaut. Damit ist ein niveaugleicher Zustieg – mit und ohne Anlegerampe – jederzeit und für alle Fahrgäste möglich.

Die Strecke

Die Tram-Westtangente verbindet die fünf Stadtbezirke Neuhausen-Nymphenburg, Laim, Hadern, Sendling-Westpark und Thalkirchen-Obersendling-Forstenried-Fürstenried-Solln. Sie führt vom Romanplatz über die Wotan-, Fürstenrieder und Boschetsrieder Straße zum Ratzingerplatz und endet am U-Bahnhof Aidenbachstraße. Verschiedene U-Bahnlinien (U3, U5, U6), Tramlinien (12, 16, 17, 18, 19) sowie der S-Bahn-Haltepunkt Laim werden miteinander verbunden. 

Die neue Strecke ist ca. 8,3 Kilometer lang und hat 17 Haltestellen. Damit wird das heute insgesamt 82 km lange Tramnetz um etwa zehn Prozent ausgeweitet. Einzelheiten zeigt unsere Karte.

Die Strecke ist in zwei Planfeststellungsabschnitte (PFA) aufgeteilt: Für PFA1 vom Romanplatz bis zur Wendeschleife am Waldfriedhof haben wir am 4. September 2023 die Baugenehmigung erhalten.

Für PFA2 vom Waldfriedhof zur Aidenbachstraße rechnen wir mit einer Baugenehmigung im ersten Quartal 2026. 

Eine Streckenkarte auf dem Stadtplan des Münchner Westens
Hinweis zum Karten-Material: © Landeshauptstadt München – Kommunalreferat – GeodatenService 2022 Download (JPG, 2,242 MB)

Der Zeitplan

Wir werden die Strecke der Tram-Westtangente abschnittsweise in mehreren Schritten eröffnen.

Inbetriebnahme-Zeitplan (Änderungen vorbehalten):

  • 27. Februar 2026: Inbetriebnahme des Abschnitts Agnes-Bernauer-Straße bis Ammerseestraße
  • Bis Ende 2028: schrittweise Inbetriebnahme der Abschnitte
    • Ammerseestraße bis Ratzingerplatz (Ziel: 2. Halbjahr 2028)
    • Romanplatz bis Agnes-Bernauer-Straße (Ziel: Dezember 2028)
    • Ratzingerplatz bis Aidenbachstraße (Ziel: Dezember 2028)
Quelle: OpenStreetMap / SWM Download (JPG, 1,426 MB)

Linienführung

Die für die erste Teilinbetriebnahme eingerichtete Linie 14 fährt im ersten Schritt von Pasing bis Gondrellplatz. Die Buslinien 51, 151 und 168 fahren weiterhin. Die Linienführung weicht in dieser Phase noch stark von der Idee der Tram-Westtangente ab. Sie ist als Interimsbetrieb zu verstehen, wobei Fahrgäste bereits von ersten neuen Fahrtmöglichkeiten im Münchner Westen profitieren können.

Terminziel: 27. Februar 2026

Die Einhaltung des Termins hängt an der Fertigstellung der altersbedingt notwendigen Erneuerung und der Umlegung der Hauptwasserleitung 5 (HW5) und dem Abschluss der Verlegearbeiten an zahlreichen Versorgungsleitungen in der Fürstenrieder Straße.

Quelle: OpenStreetMap / SWM Download (JPG, 1,385 MB)

Linienführung

Die Linie 14 fährt von Pasing bis zum Ratzingerplatz und ersetzt die Linie 51 auf der südlichen Fürstenrieder und Boschetsrieder Straße. Die Linie 51 bedient weiterhin den Abschnitt vom Romanplatz bis zum Laimer Platz. Am Ratzingerplatz wird während des Neubaus der P+R-Anlage an der Aidenbachstraße eine provisorische Wendeschleife genutzt.

Terminziel: Zweites Halbjahr 2028

Die Einhaltung des Termins hängt von der rechtzeitigen Fertigstellung der Brücken über die A95 und A96 ab.

Quelle: OpenStreetMap / SWM Download (JPG, 0,151 MB)

Die Tram-Westtangente verkehrt künftig durch die Umweltverbundröhre (UVR) in der Laimer Unterführung, die von der DB Netz AG errichtet und im Anschluss an uns zum Innenausbau übergeben wird.

Linienführung

Nach Öffnung der Umweltverbundröhre in Laim und der Fertigstellung der P+R-Anlage an der Aidenbachstraße ist die Tram-Westtangente fertig. Die von Schwabing kommende Linie 12 wird vom Romanplatz bis zur Aidenbachstraße verlängert und ersetzt die provisorische Linie 14. Die Buslinien 51 und 151 enden von Norden her am Romanplatz, als Verstärkerlinie wird die Tram 16 vom Romanplatz bis zur Wendeschleife Waldfriedhof Haupteingang verlängert.

Terminziel: Ende 2028

Das Erreichen des Terminziels hängt von der rechtzeitigen Übergabe der UVR durch die DB Netz AG und der P+R-Anlage an der Aidenbachstraße ab.

Planung im Detail

Hier stellen wir Ihnen die Detailplanung verschiedener Kreuzungen und Haltestellen anhand von Lageplänen und VIsualisierungen vor.

Visualisierung des Laimer Kreisels (vorläufige Darstellung) / Quelle: SWM/Rakete Download (JPG, 4,953 MB)

Die Haltestelle Laim Bahnhof befindet sich künftig in der Umweltverbundröhre (UVR), die derzeit von der Deutschen Bahn neben den bestehenden beiden Röhren der Laimer Unterführung errichtet wird. Neben der Trambahn wird hier auch die Buslinie 168 halten. Treppen, Rolltreppen und ein Aufzug erlauben den direkten Umstieg zur S-Bahn.

Bus und Tram fahren auf der neu errichteten Tramtrasse aus der Unterführung in die Fürstenrieder Straße. Die bestehenden Bushaltestellen der Linien 51/151/168 am Laimer Kreisel entfallen, stattdessen entstehen dort neue Grünflächen. Im östlichen Teil begrünen großflächige Baumpflanzungen die Umgebung, in der auch ein Gleichrichterwerk für die Stromversorgung der Straßenbahn gebaut wird.

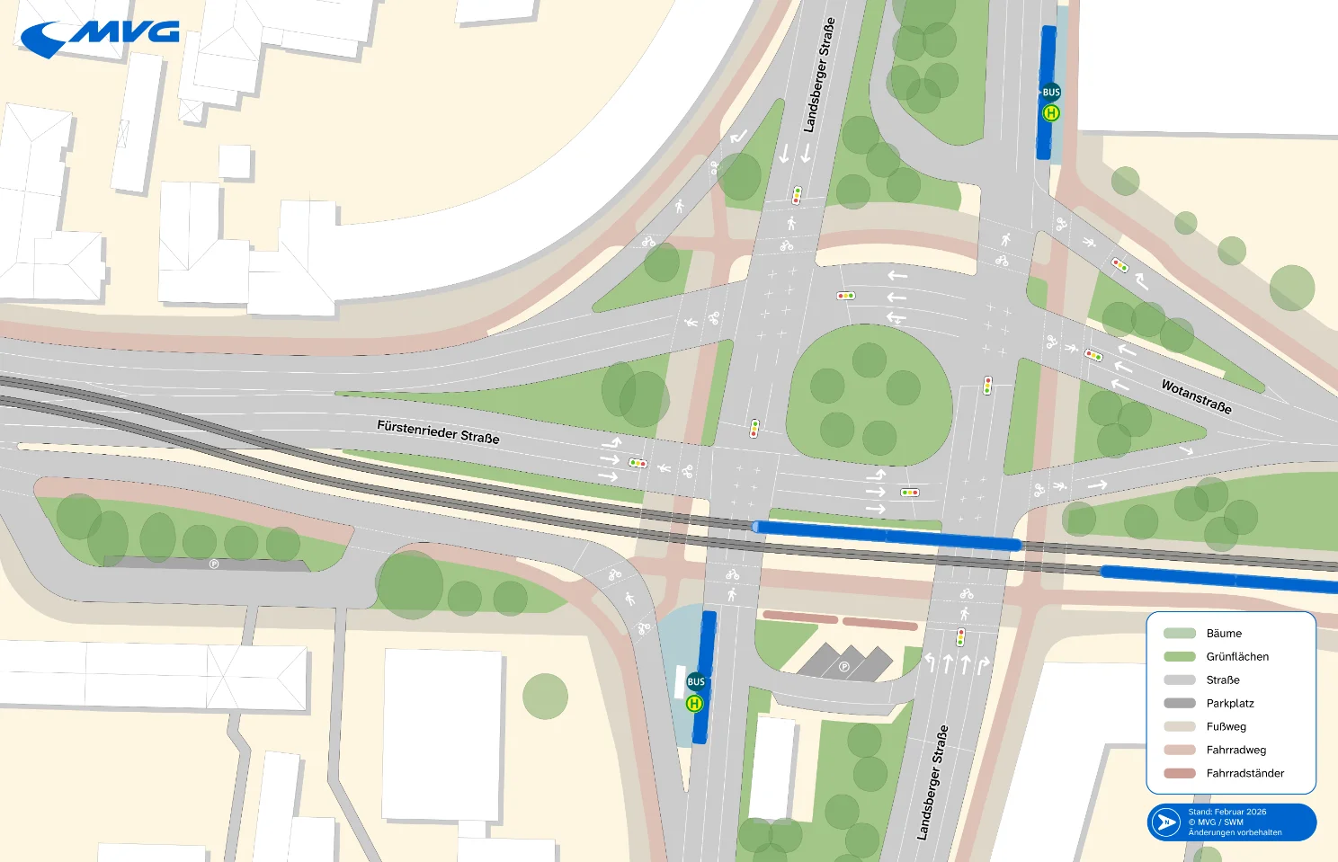
Der Geh- und Radweg im südwestlichen Bereich des Laimer Kreisels wird neu angelegt. Zudem entsteht im südöstlichen Teil ein neuer Zweirichtungs-Radweg von der Fürstenrieder in die Landsberger Straße.

Kartendarstellung des Laimer Kreisels mit Einzeichnung der Maßnahmen
Quelle: SWM/MK Landschaft Download (JPG, 0,178 MB)
Die Tram-Haltestelle Fürstenrieder Straße in einer Visualisierung
Visualisierung der Haltestelle Fürstenrieder Straße (vorläufige Darstellung) / Quelle: SWM/Rakete twt_visualisierung_fuerstenrieder.jpg (JPG 9,501 MB)
Visualisierung der Haltestelle Fürstenrieder Straße (vorläufige Darstellung) / Quelle: SWM/Rakete
Visualisierung der Kreuzung Fürstenrieder Straße / Agnes-Bernauer-Straße
Visualisierung der Agnes-Bernauer-Straße mit eingebauten Gleisbögen (vorläufige Darstellung) / Quelle: SWM/Rakete twt_visualisierung_abs_norden.JPG (JPG 0,153 MB)
Visualisierung der Agnes-Bernauer-Straße mit eingebauten Gleisbögen (vorläufige Darstellung) / Quelle: SWM/Rakete
Visualisierung der Kreuzung Fürstenrieder Straße / Agnes-Bernauer-Straße Richtung Süden
Visualisierung der Kreuzung Fürstenrieder Straße / Agnes-Bernauer-Straße Richtung Süden (vorläufige Darstellung) / Quelle: SWM/Rakete twt_visualisierung_abs_schule.JPG (JPG 0,182 MB)
Visualisierung der Kreuzung Fürstenrieder Straße / Agnes-Bernauer-Straße Richtung Süden (vorläufige Darstellung) / Quelle: SWM/Rakete
Visualisierung der Kreuzung Fürstenrieder Straße / Agnes-Bernauer-Straße von oben
Visualisierung der Kreuzung Fürstenrieder Straße / Agnes-Bernauer-Straße von oben (vorläufige Darstellung) / Quelle: SWM/Rakete twt_visualisierung_abs_von_oben.JPG (JPG 0,208 MB)
Visualisierung der Kreuzung Fürstenrieder Straße / Agnes-Bernauer-Straße von oben (vorläufige Darstellung) / Quelle: SWM/Rakete

Die Haltestelle Fürstenrieder Straße entsteht in beiden Fahrtrichtungen direkt vor der Fürstenrieder Schule, auch die Bushaltestelle der Linie 168 nach Süden platzieren wir vor dem Schulgebäude. Somit werden die Wege für Schüler*innen kürzer und sicherer als bisher. Auch verbreiterte Radwege vor der Schule bedeuten eine Verbesserung der aktuellen Situation.

Wie an den meisten anderen Haltestellen der Tram-Westtangente sorgen ein Rasengleis sowie Baumpflanzungen für eine optische Aufwertung des Wartebereichs. Davon profitieren an der Fürstenrieder Straße auch die beiden Haltestellen der Linie 19, die ebenfalls begrünt und barrierefrei ausgestattet werden.

Um die Tram-Westtangente an das bestehende Tramnetz anzubinden und im Störungsfall schnell reagieren zu können, bauen wir an der Kreuzung zur Agnes-Bernauer-Straße Gleisbögen zum Abbiegen von Nord nach Ost sowie von Süd nach West.

Eingezeichnete geplante Maßnahmen auf einer Karte der Kreuzung Fürstenrieder/Agnes-Bernauer-Straße
Quelle: SWM/MK Landschaft Download (JPG, 0,165 MB)
Visualisierung der Kreuzung Fürstenrieder Straße / Gotthardstraße mit Tramgleisen
Visualisierung der Tram-Westtangente am Laimer Platz (vorläufige Darstellung) / Quelle: SWM/Rakete Download (JPG, 1,285 MB)

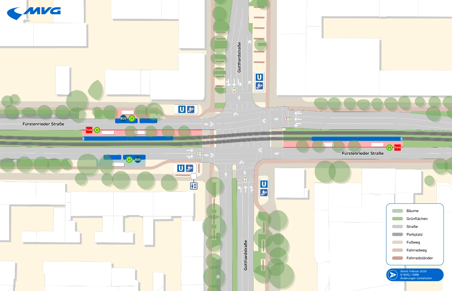
Am Laimer Platz entstehen die Haltestellen der Tram-Westtangente jeweils hinter der Kreuzung nach der Fahrt über die Gotthardstraße – mit Baumbepflanzung, Rasengleis und begleitenden Blumenwiesenstreifen. Auch die Bushaltestelle der Linie 168 Richtung Süden wird entsprechend versetzt. Das ermöglicht für beide Verkehrsmittel nach dem Fahrgastwechsel eine zügige Abfahrt ohne Warten auf eine Ampel-Grünphase.

Für von Süden kommende Autofahrer ist das Linksabbiegen von der Fürstenrieder Straße nur noch indirekt über eine Wendemöglichkeit in der Gotthardstraße möglich. Das direkte Linksabbiegen in die Gegenrichtung bleibt durch einen Schwenk der Fahrbahn nach Westen weiter möglich. Dafür müssen wir den nordwestlichen Abgang der U5 um 90 Grad gedreht in die Gotthardstraße verlegen.

Die nahe gelegene Hogenberg-Unterführung bleibt bestehen und wird instandgesetzt.

Eingezeichnete Maßnahmen auf einer Straßenkarte am Laimer Platz
Quelle: SWM/MK Landschaft Download (JPG, 0,165 MB)

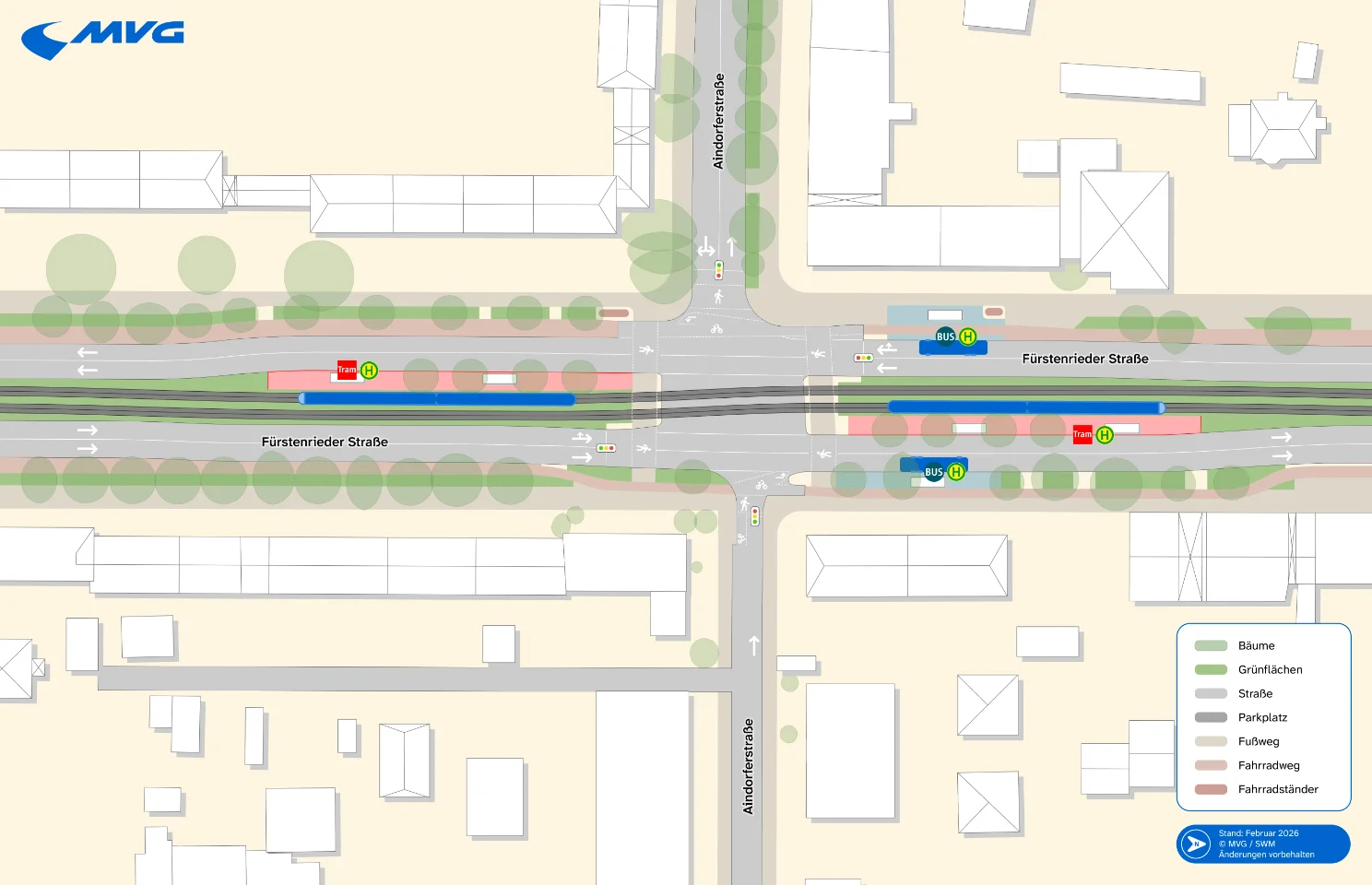
Die Tram-Haltestellen an der Aindorferstraße werden jeweils nach der Kreuzung angelegt, inklusive Rasengleis und Baumbepflanzung. Die Bushaltestellen der Linie 168, die dort in die Fürstenrieder Straße abbiegt, bleiben an ihrer aktuellen Position, werden jedoch ebenfalls erneuert.

Flächen für die Bereitstellung von Fahrradständern sind vorgesehen, unter anderem auf Höhe der Fürstenrieder Straße 104. Zudem werden die Radwege in südlicher Fahrtrichtung neu gebaut.

Die im südwestlichen Bereich notwendigen Baumfällungen gleichen wir teilweise durch Ersatzpflanzungen in unmittelbarer Nähe aus.

Im Kreuzungsbereich verschwenken wir die Tramgleise leicht nach Westen.

Eingezeichnete geplante Maßnahmen auf einer Straßenkarte an der Aindorferstraße
Quelle: SWM/MK Landschaft Download (JPG, 0,143 MB)
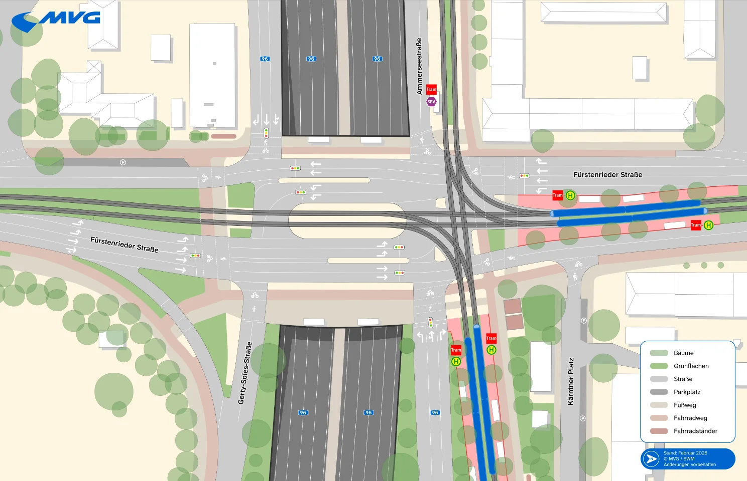
Visualisierung der Tram-Westtangente an der Ammerseestraße
Download (JPG, 4,7 MB)

An der Ammerseestraße halten die Züge der Tram-Westtangente künftig in beiden Richtungen nördlich der Kreuzung. Die bestehende Haltestelle der Linie 18 stadteinwärts zieht vom Schulmeierweg an der Westseite an die Ostseite der Kreuzung zum Kärntner Platz. Die alte Haltestelle bleibt teilweise bestehen und dient von der Autobahnrampe aus angefahren als Halt für einen möglichen Schienenersatzverkehr.

Wie an der Agnes-Bernauer-Straße wird auch hier die Tram-Westtangente durch Gleisbögen an das bestehende Tramnetz angeschlossen. Sie ermöglichen das Abbiegen von Nord nach West sowie von Süd nach Ost.

Das aktuell in einem Container-Provisorium untergebrachte Gleichrichterwerk am Kärntner Platz wird aufgrund des erhöhten Platzbedarfs an benachbarter Stelle neu gebaut.

Eingezeichnete Maßnahmen auf einem Straßenplan an der Haltestelle Ammerseestraße
Quelle: SWM/MK Landschaft Download (JPG, 0,182 MB)

An der Haltestelle Andreas-Vöst-Straße hält die Tram in der Straßenmitte. Die Haltestelle mit Fahrtrichtung Süden befindet sich auf einer Insel in der Mitte der Straße, während der Wartebereich für Fahrgäste Richtung Norden am Straßenrand neben dem Eingang zu Ludwigsgymnasium und Erasmus-Grasser-Gymnasium eingerichtet wird.

Aus Sicherheitsgründen wird der Mittelteiler auf Höhe Schietweg / Andreas-Vöst-Straße geschlossen. Auf der West- und Ostseite der Fürstenrieder Straße wird es Zweirichtungs-Radwege geben.  

Lageplan der Haltestelle Andreas-Vöst-Straße
Download (JPG, 0,085 MB)

Die Haltestelle Holzapfelkreuth befindet sich nördlich (Fahrtrichtung Norden) und südlich (Fahrtrichtung Süden) der Kreuzung der Fürstenrieder Straße mit der Ehrwalder Straße und der Guardinistraße. Für den Autoverkehr wird in beide Richtungen eine gesonderte Linksabbiegespur aus der Fürstenrieder Straße eingerichtet.

Die U-Bahn-Abgänge Nordwest und Südost müssen zurückgebaut und neu gebaut werden.

Lageplan der Haltestelle Holzapfelkreuth
Download (JPG, 0,09 MB)

An der Haltestelle Waldfriedhof werden Gleise und Fahrbahn auf der Kreuzung der Fürstenrieder Straße mit der Würmtalstraße und Waldfriedhofstraße leicht Richtung Osten verschwenkt.

Die Haltestelle befindet sich nördlich der Kreuzung in der Mitte der Straße.

Lageplan der Haltestelle Waldfriedhof
Download (JPG, 0,074 MB)
Visualisierung der Wendeschleife der Tram-Westtangente am Waldfriedhof Haupteingang
Download (JPG, 8,814 MB)

An der Haltestelle Waldfriedhof Haupteingang entsteht auf Teilen des Besucherparkplatzes eine Wendeschleife, an der etwa Tram-Verstärkerfahrten zu Hauptverkehrszeiten vorzeitig wenden.  

Wir bauen auf der Fläche zudem ein Gleichrichterwerk. Baumpflanzungen und leicht hügelig modellierte Blumenwiesen werten die Umgebung der Haltestelle auf. 

Die Fuß- und Radwegunterführung wird nach einem Beschluss des Münchner Stadtrats zurückgebaut. An beiden Enden der regulären Haltestelle wird eine Ampelanlage eingerichtet.

Lageplan der Haltestelle Waldfriedhof Haupteingang
Download (JPG, 0,085 MB)

Zum Bau der Tram-Westtangente gehören neben dem Bau der Strecke und der Versorgungsleitungen auch zahlreiche Schnittstellenprojekte in den verschiedenen Bauabschnitten.

Querschnitt durch die neue Röhre der Laimer Unterführung
Quelle: SWM Download (JPG, 0,031 MB)

Die Deutsche Bahn baut im Rahmen der 2. S-Bahn-Stammstrecke eine dritte Röhre für die Laimer Unterführung. Durch diese Umweltverbundröhre (UVR) für Radfahrer*innen und Fußgänger*innen fahren künftig auch unsere Trambahnen und die Busse der Linie 168. Dort wird auch die Haltestelle Laimer Bahnhof beheimatet sein, inklusive Umsteigemöglichkeit mit Aufzügen, Treppen und Rolltreppen zu den S-Bahnsteigen.

Teil der UVR ist ein Verbindungsbauwerk zum benachbarten Straßentunnel, das von Betriebspersonal und Einsatzkräften im Bedarfsfall genutzt werden kann.

Die DB Netz AG wird nach den aktuellen Planungen die UVR in der zweiten Jahreshälfte 2027 an uns übergeben. Wir planen, dass ab Dezember 2028 die ersten Fahrzeuge durch die UVR fahren können.

Die rechtzeitige Übergabe der UVR durch die DB Netz AG ist notwendig, damit wir den geplanten Inbetriebnahmetermin für den Abschnitt zwischen Romanplatz und Agnes-Bernauer-Straße - und damit dann die gesamte Westtangente - im Dezember 2028 einhalten können.

Die Unterführung an der Hogenbergstraße ist instandsetzungswürdig. Unter anderem sind Instandsetzungsarbeiten an der Abdichtung geplant. Da die Oberseite der Unterführung für die Gleisverlegung der Tram ohnehin geöffnet werden muss, erfolgt die Sanierung im Zuge der Bauarbeiten an der Tramstrecke. So lassen sich die Eingriffe in den Straßenverkehr möglichst geringhalten.

Während der Arbeiten ist die Nutzung der Unterführung nicht möglich. Zudem muss der Verkehr im Bereich der Unterführung verschwenkt werden. Da die Sanierung in zwei Bauabschnitten erfolgt, betrifft dies jeweils entweder den Verkehr auf der Ost- oder auf der Westseite

Skizze des U-Bahnhofs Laimer Platz über die Straßenkarte gelegt
Quelle: MK Landschaft/SWM Download (JPG, 0,065 MB)

Die Fahrbahn an der Kreuzung Fürstenrieder Straße/Gotthardstraße wird nach Westen verschwenkt, damit es künftig weiter möglich ist, vom Norden kommend nach links abzubiegen. Daher muss der nordwestliche U-Bahn-Abgang an der Haltestelle Laimer Platz zurückgebaut werden.

Dafür entfernen wir auch die dazu gehörenden Elektroleitungen, Sanitäreinrichtungen und die Natursteinverkleidungen.

Als Ersatz entsteht ein neuer Abgang im nordwestlichen Bereich der Kreuzung Fürstenrieder Straße / Gotthardstraße. Während der Bauarbeiten kann kein nordwestlicher Auf-/ Abgang zur U-Bahn genutzt werden.

Querschnitt-Skizze eines Tunnels für Versorgungsleitungen
Quelle: SWM Download (JPG, 0,037 MB)

Die Hauptwasserleitung 5 (HW5) ist eine wichtige Lebensader im Münchner Westen. Im Zuge des Baus der Tram-Westtangente müssen im Bezirk Laim etwa 2,2 Kilometer der Leitung unter der Fürstenrieder Straße neu verlegt werden. Dazu kommen zahlreiche weitere Verlegungen von Versorgungsleitungen (Strom, Gas, Wasser, Fernwärme, Telekommunikation, 110 kV) - so genannte Spartenmaßnahmen.

Da sich auch in der Brücke über die A96 wichtige Versorgungsleitungen befinden, verlegen wir diese vor Beginn des Neubaus der Brücke in einen eigenen Tunnel. Dieser Sparten-Bypass wird östlich der Brücke unterhalb der Autobahn entlanggeführt.

Während der Bauzeit gibt es in der Fürstenrieder Straße starke Verkehrsbehinderungen – so kann in beiden Richtungen nur eine Fahrspur genutzt werden.

Straßenkarte, die die Umgebung um die Brücke der A96 abbildet
Kartenmaterial: OpenStreetMap Download (JPG, 0,052 MB)

Die dreiteilige Autobahnbrücke an der Ammerseestraße über die A96 wird rückgebaut und neu errichtet. Der Neubau des mittleren Teils der Brücke ist aufgrund der neuen Belastungssituation durch den Tramverkehr notwendig, der West- und Ostteil der Brücke sind zudem instandsetzungswürdig. Die Stadtwerke München und die Autobahn GmbH des Bundes haben sich daher entschlossen, ihre Kräfte zu bündeln, und die Maßnahme gemeinschaftlich durchzuführen.

Der Rück- und Neubau erfolgen in zwei Bauabschnitten, einen für den östlichen und einen für den westlichen Teil. Während der Bauzeit sind Verschwenkungen im Bereich der Brücke notwendig. Zunächst wird der Verkehr in beiden Fahrtrichtungen auf die westliche Bestandsbrücke umgeleitet, während am östlichen Teil gearbeitet wird. Im Anschluss wird der Verkehr auf die neu gebaute Ostbrücke verschwenkt, und der Rück- und Neubau der Westbrücke beginnt. Zudem kann es zu Verkehrsschwenkungen auf der Autobahn A96 kommen.

Zwei Abgänge in Holzapfelkreuth werden zurückgebaut
Download (JPG, 0,039 MB)

Am U-Bahnhof Holzapfelkreuth müssen 2025/2026 der nordwestliche und der südöstliche Abgang zurückgebaut werden. Dafür entsteht ein neuer südöstlicher Abgang in der Ehrwalder Straße.

Zwischen Ammerseestraße und Aidenbachstraße sind folgende Schnittstellenprojekte relevant:  

 

  • Die Fußgänger- und Radweg-Unterführung am Waldfriedhof Haupteingang wird zurückgebaut. Auf einem Teil des Parkplatzes entsteht eine Wendeschleife.
  • Die Boschetsrieder Unterführung unter der A95 am Südpark wird saniert und muss in der Zeit gesperrt werden. Es erfolgt eine Umleitung über die Murnauer Straße.
  • Der nicht mehr benötigte Straßenbahn-Tunnel an der Kreuzung Boschetsrieder Straße / Drygalski-Allee wird zurückgebaut und aufgefüllt. Dies geschieht im Auftrag der Landeshauptstadt München, unabhängig vom Planfeststellungsverfahren der Tram-Westtangente.
  • Da der Bau der P+R-Anlage an der Aidenbachstraße länger dauert als der Bau der Tramstrecke, entsteht am Ratzingerplatz eine provisorische Wendeschleife.
  • Die Autobahnbrücken der A95 am Kreuzhof gehören zwar nicht unmittelbar zum Projekt der Tram-Westtangente, werden im Projektzeitraum jedoch neu gebaut und sind damit wichtig für die Einhaltung des Zeitplans. Erst wenn sie fertig sind, können wir die Gleise darunter verlegen.
  • Die P+R-Anlage an der Aidenbachstraße wird abgerissen und mit höherer Kapazität neu gebaut. Dabei entsteht auf dem Dach auch ein Sportplatz für die benachbarten Schulen. Ins "Erdgeschoss" kommt ein neuer, großer Bahnhof für Busse und Trambahnen.

Neupflanzungen von Bäumen

Wir haben bei der Planung der Tram-Westtangente darauf geachtet, möglichst viele Bäume zu erhalten. So wurden über 3.700 Bäume im Projektumfeld vermessen, von denen wir rund 90% erhalten können.

Unser Ziel ist es, alle gefällten Bäume durch Neupflanzungen zu ersetzen, was deutlich über die gesetzlichen Anforderungen hinausgeht.

Wir legen Wert auf eine große Artenvielfalt und verwenden zukunftsfähige und klimafeste Baumarten für die Neupflanzungen. Der Stammumfang der neu gepflanzten Bäume liegt bei 25 bis 35 Zentimetern.

Eine Tram an der begrünten Haltestelle Cosimabad
Beispiel einer bepflanzten Tram-Haltestelle - am Cosimabad wurden hier im Jahr 2011 Bäume neu gepflanzt. Download (JPG, 24,276 MB)
Tram-Haltestelle Cosimabad von oben
Luftbild der bepflanzten Haltestelle Cosimabad Download (JPG, 13,407 MB)

Die Haltestellen der Tram-Westtangente werden durch Rasengleis und die Neupflanzung von Bäumen begrünt. Das wertet die Umgebung im sonst grauen Straßenraum auf und spendet Schatten für wartende Fahrgäste.

An den Haltestellen kommen dabei vor allem Robinien / Scheinakazien zum Einsatz. 

Bei der Tram St. Emmeram kann man zwölf Jahre nach den Neupflanzungen bereits sehen, wie die neu gepflanzten Bäume das Stadtbild bereichern.

Deutlich positiv ist die Bilanz bei der Flächenversiegelung, also der luft- und wasserdichten Abdeckung des Bodens. 11.000 Quadratmeter Neuversiegelung durch die Tram-Westtangente stehen 34.000 Quadratmeter Entsiegelung bisher versiegelter Flächen gegenüber.

Das Projekt-Team

Gruppenfoto im Innenhof der Stadtwerke-Zentrale
Das Projektteam um die Projektleiter Wolfgang Pfützner und Martin Schöneseiffen arbeitet mit Herz, Leidenschaft und großer Sorgfalt an der Realisierung der Tram-Westtangente in München. Download (JPG, 4,24 MB)

Dialog & Beteiligung

Wir setzen auf einen intensiven Dialog mit der Öffentlichkeit. Dazu finden unterschiedliche Veranstaltungsformate statt, um alle Interessierten, Beteiligten und Betroffenen in geeigneter Weise einzubinden.

Die bisherigen und geplanten Kommunikationsmaßnahmen im Überblick:

Zeitpunkt Art der Veranstaltung und Thema
08.05.2025 Infoveranstaltung für Neuhausen-Nymphenburg - Backstage Kulturzentrum, Reitknechtstr. 6, Friedenheimer Brücke 80639 München, Zugang Arena - 18.30 Uhr
20.02.2025 Infoveranstaltung für Sendling-Westpark / Hadern - BMW-Park (ehem. Rudi-Sedlmayer-Halle)
Herbst/Winter 2023/24 Besuch von Sitzungen in den Bezirksausschüssen / Unterausschüssen 
27.11.2023 Infoveranstaltung in Laim - Turnhalle der Grundschule Schrobenhausener Str. 17 
24.07.2023 Infoveranstaltung für die Bezirksausschüsse 7, 9, 19, 20, 25

In den Jahren 2010 bis 2014 haben wir die Öffentlichkeit an den Planungen der Tram-Westtangente mit zahlreichen lokalen Veranstaltungen beteiligt. Dabei hatten Verwaltung, Bezirksausschüsse, Interessenverbände und die Bevölkerung der betroffenen Stadtteile die Gelegenheit, lokales Wissen, Erwartungen, Befürchtungen und Ideen in die Planung einzubringen und zu diskutieren.

Neben Informationsveranstaltungen führten wir Planungswerkstätten, Spaziergänge und Diskussionsrunden durch, um vielfältige Interessen und Perspektiven in die Planung einzubeziehen.

Die Stadtwerke München (SWM) treiben den Ausbau der Tram im Auftrag der Landeshauptstadt München voran. Denn mehr ÖPNV ist Grundvoraussetzung für eine zukunftsfähige und umweltfreundliche Mobilität und damit für mehr Lebensqualität in München. Ein dichtes ÖPNV-Netz trägt zur Verbesserung der Verkehrssituation für alle bei, stärkt die soziale Teilhabe und den heimischen Wirtschaftsstandort.

Die Tram-Westtangente ist ein zentraler Baustein im Münchner Nahverkehrsplan und Bestandteil der städtischen „Mobilitätsstrategie 2035“ auf dem Weg zur Verkehrswende. Sie hat einen hohen volkswirtschaftlichen Nutzen und wird daher aus öffentlichen Fördermitteln sowie dem Haushalt der Landeshauptstadt München finanziert. 

Logo der Landeshauptstadt München
Inhalt
  1. Die Anker Links generien sich automatisch
  2. Es werden die H2 Überschriften genutzt
  • Datenschutzhinweise | Tram-Westtangente
  • Impressum
  • AGB für unsere Dienste
  • Link zu den SWM
  • Barrierefreiheitserklärung
© Copyright MVG 2025
Ein Angebot der Logo SWM